Canine coronavirus
Canine coronavirus (CCoV) is an enveloped, positive-sense, single-stranded RNA virus which is a member of the species Alphacoronavirus 1. It causes a highly contagious intestinal disease worldwide in dogs.[2] The infecting virus enters its host cell by binding to the APN receptor.[3] It was discovered in 1971 in Germany during an outbreak in sentry dogs.[2] The virus is a member of the genus Alphacoronavirus and subgenus Tegacovirus.[4]
| Canine coronavirus | |
|---|---|
![]() | |
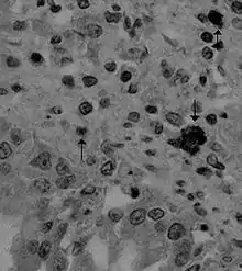
| Canine coronavirus antigen (arrows) in canine lung tissue | |
| Virus classification | |
| (unranked): | Virus |
| Realm: | Riboviria |
| Kingdom: | Orthornavirae |
| Phylum: | Pisuviricota |
| Class: | Pisoniviricetes |
| Order: | Nidovirales |
| Family: | Coronaviridae |
| Genus: | Alphacoronavirus |
| Subgenus: | Tegacovirus |
| Species: | |
| Virus: | Canine coronavirus |
| Strains[1] | |
| |
Canine enteric coronavirus
Pathology
The virus invades and replicates in the villi of the small intestine. Intestinal disease may be related to virus-induced apoptosis (programmed cell death) of cells of the epithelial mucosa of the small intestine.[5] Canine coronavirus was originally thought to cause serious gastrointestinal disease, but now most cases are considered to be very mild or without symptoms.[6] A more serious complication of canine coronavirus occurs when the dog is also infected with canine parvovirus. Coronavirus infection of the intestinal villi makes the cells more susceptible to parvovirus infection. This causes a much more severe disease than either virus can separately.[7] However, fatal intestinal disease associated with canine coronavirus without the presence of canine parvovirus is still occasionally reported.[8][9] This may be related to the high mutation rate of RNA positive stranded viruses, of which canine coronavirus is one.[2]
Symptoms, diagnosis, treatment, and control
The incubation period is one to three days.[7] The disease is highly contagious and is spread through the feces of infected dogs, who usually shed the virus for six to nine days, but sometimes for six months following infection.[6] Symptoms include diarrhea, vomiting, and anorexia. Diagnosis is through detection of virus particles in the feces. Treatment usually only requires medication for diarrhea, but more severely affected dogs may require intravenous fluids for dehydration. Fatalities are rare. The virus is destroyed by most available disinfectants. There is a vaccine available (ATCvet code: QI07AD11 (WHO)), and it is usually given to puppies, who are more susceptible to canine coronavirus, and to dogs that have a high risk of exposure, such as show dogs.[7]
Canine respiratory coronavirus
Recently, a second type of canine coronavirus (Group II) has been shown to cause respiratory disease in dogs.[10] Known as canine respiratory coronavirus (CRCoV) and found to be similar to strain OC43 of bovine and human coronaviruses, it was first isolated in the United Kingdom in 2003 from lung samples of dogs[11] and has since been found on the European mainland[12] and in Japan.[13] A serological study in 2006 has also shown antibodies to CRCoV to be present in dogs in Canada and the United States.[14] However, a retrospective study in Saskatchewan found that CRCoV may have been present there as far back as 1996.[13]
Human infection
A study published on May 20, 2021, analyzed samples from eight patients with pneumonia (seven of whom were children) in hospitals of Sibu and Kapit, Malaysia taken between 2017 and 2018 and found a novel coronavirus. This coronavirus is a species of Canine coronavirus (CCoV) which was named CCoV-HuPn-2018 and was found to have multiple similarities to feline coronavirus, swine transmissible gastroenteritis virus and some human and SARS-like coronaviruses. Most of these affect the spike protein and it is thought the virus could have undergone genetic recombination to achieve those traits. If this strain is confirmed to be associated with human disease then it would become the eighth known coronavirus to cause disease in humans.[15]
References
- "ICTV 9th Report (2011) Coronaviridae". International Committee on Taxonomy of Viruses (ICTV). Retrieved 10 January 2019.
- Pratelli A (2006). "Genetic evolution of canine coronavirus and recent advances in prophylaxis". Vet Res. 37 (2): 191–200. doi:10.1051/vetres:2005053. PMID 16472519.
- Fehr AR, Perlman S (2015). "Coronaviruses: an overview of their replication and pathogenesis". In Maier HJ, Bickerton E, Britton P (eds.). Coronaviruses. Methods in Molecular Biology. Vol. 1282. Springer. pp. 1–23. doi:10.1007/978-1-4939-2438-7_1. ISBN 978-1-4939-2438-7. PMC 4369385. PMID 25720466.
See Table 1.
- "Taxonomy browser (Canine coronavirus)". www.ncbi.nlm.nih.gov. Retrieved 1 March 2020.
- Ruggieri, A; Di Trani, L; Gatto, I; Franco, M; Vignolo, E; Bedini, B; Elia, G; Buonavoglia, C (2007). "Canine coronavirus induces apoptosis in cultured cells". Vet Microbiol. 121 (1–2): 64–72. doi:10.1016/j.vetmic.2006.12.016. PMC 7117493. PMID 17254720.
- Pratelli, A. (2005). "Canine Coronavirus Infection". Recent Advances in Canine Infectious Diseases. Archived from the original on 10 April 2005. Retrieved 25 June 2006.
- Ettinger, Stephen J.; Feldman, Edward C. (1995). Textbook of Veterinary Internal Medicine (4th ed.). W.B. Saunders Company. ISBN 978-0-7216-6795-9.
- Evermann J, Abbott J, Han S (2005). "Canine coronavirus-associated puppy mortality without evidence of concurrent canine parvovirus infection". J Vet Diagn Invest. 17 (6): 610–4. doi:10.1177/104063870501700618. PMID 16475526.
- Buonavoglia C, Decaro N, Martella V, Elia G, Campolo M, Desario C, Castagnaro M, Tempesta M (2006). "Canine coronavirus highly pathogenic for dogs". Emerg Infect Dis. 12 (3): 492–4. doi:10.3201/eid1203.050839. PMC 3291441. PMID 16704791.
- Ellis, John A. (2006). "Outbreak! How can we approach emerging diseases?" (PDF). Proceedings of the North American Veterinary Conference. Archived from the original (PDF) on 29 September 2007. Retrieved 28 January 2007.
- Erles K, Toomey C, Brooks H, Brownlie J (2003). "Detection of a group 2 coronavirus in dogs with canine infectious respiratory disease". Virology. 310 (2): 216–23. doi:10.1016/S0042-6822(03)00160-0. PMC 7126160. PMID 12781709.
- Decaro N, Desario C, Elia G, Mari V, Lucente MS, Cordioli P, Colaianni ML, Martella V, Buonavoglia C (2006). "Serological and molecular evidence that canine respiratory coronavirus is circulating in Italy". Vet Microbiol. 121 (3–4): 225–30. doi:10.1016/j.vetmic.2006.12.001. PMC 7117267. PMID 17215093.
- Yachi A, Mochizuki M (2006). "Survey of dogs in Japan for group 2 canine coronavirus infection". J Clin Microbiol. 44 (7): 2615–8. doi:10.1128/JCM.02397-05. PMC 1489469. PMID 16825396.
- Priestnall S, Brownlie J, Dubovi E, Erles K (2006). "Serological prevalence of canine respiratory coronavirus". Vet Microbiol. 115 (1–3): 43–53. doi:10.1016/j.vetmic.2006.02.008. PMC 7117349. PMID 16551493.
- Vlasova, A. N.; Diaz, A.; Damtie, D.; Xiu, L.; Toh, T. H.; Lee, J. S.; Saif, L. J.; Gray, G. C. (2021). "Novel Canine Coronavirus Isolated from a Hospitalized Pneumonia Patient, East Malaysia". Clinical Infectious Diseases. doi:10.1093/cid/ciab456. PMC 8194511. PMID 34013321.
