Notonecta maculata
Notonecta maculata is a backswimmer of the family Notonectidae, found in Europe, including the United Kingdom.
| Notonecta maculata | |
|---|---|
![]() | |
| Notonecta maculata Ventral side | |
![]() | |
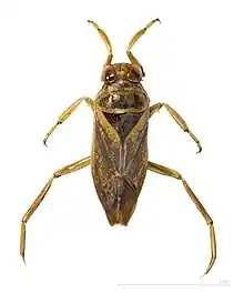
| Notonecta maculata Dorsal side | |
| Scientific classification | |
| Kingdom: | Animalia |
| Phylum: | Arthropoda |
| Class: | Insecta |
| Order: | Hemiptera |
| Family: | Notonectidae |
| Genus: | Notonecta |
| Species: | N. maculata |
| Binomial name | |
| Notonecta maculata Fabricius, 1794 | |
Morphology
Notonecta maculata are small, light brown insects of the order Hemiptera. These animals have a number of dark markings on their wings and body, and have large reddish eyes.[1] Their hind legs are modified to be oar-shaped, to allow them to swim in water.
These animals can grow up to 2 centimeters in length in their adult stage.
This individual species can be distinguished from other Notonecta species by their mottled brick-coloured forewings.
Diet
Notonecta maculata are voracious predators, eating many invertebrate species found in their habitats. In their juvenile stages, they primarily eat Daphnia magna and zooplankton, and in adult stages they will also include mosquito eggs[2] to their diet, although they will also eat most things that they can find.
In their juvenile stages, they select prey based on size - when presented with multiple sizes of Daphnia, Notonecta maculata will go after larger Daphnia.[3] The adult stages will also select for larger Daphnia[4] and zooplankton.[5]
The amount of light present affects the predation rate of juvenile Notonecta maculata, although this is based not based on the time of day.[6] In the dark, they will detect Daphnia at shorter distances, so they will go after the largest Daphnia in their shorter range.
Habitat
Notonecta maculata generally live in small freshwater ponds[7] within the United Kingdom, but can also be found in storm water retention ponds, lakes, swamps, and rivers, as long as the water they are in is freshwater.[8] Although they can live in a single pond for all of their life, they will use their wings to fly away to a different pond in the presence of vertebrate predators.[9]
The Notonecta genus select habitats which enable them to exploit specific foraging strategies.[10] These habitats factor in the presence and density of vegetation, water opacity, nature of the substrate, and prey abundance and diversity. Notonecta maculata instars tend to survive better in an environment where these elements are in a relatively simple state, and will not survive as well when these factors in the environment are more complex, although their survival rate in a complex environment increases as it goes through instar stages.[11]
N. irrorata release two kairomones, n-tricosane and n-heneicosane, that repel the oviposition of Culiseta longiareolata mosquitoes in ponds that N. irrorata inhabits.[12]
References
- "Notonecta maculata". NatureSpot. Retrieved 2012-11-22.
- Eitam, Avi; Blaustein, Leon (2004). "Oviposition habitat selection by mosquitoes in response to predator (Notonecta maculata) density". Physiological Entomology. 29 (2): 188–191. doi:10.1111/j.0307-6962.2004.0372.x.
- Gergs, Andre; Ratte, Hans Toni (2009). "Predicting functional response and size selectivity of juvenile Notonecta maculata foraging on Daphnia magna". Ecological Modelling. 220 (23): 3331–3341. doi:10.1016/j.ecolmodel.2009.08.012.
- Scott, Mary Ann; Murdoch, William W. (1983). "Selective predation by the backswimmer Notonecta". Limnology and Oceanography. 28 (2): 352–366. Bibcode:1983LimOc..28..352S. doi:10.4319/lo.1983.28.2.0352.
- Blaustein, Leon (1998). "Influence of the predatory backswimmer, Notonecta maculata on invertebrate community structure". Ecological Entomology. 23 (3): 246–252. doi:10.1046/j.1365-2311.1998.00138.x.
- Gergs, Andre; Hoeltzenbein, Nora Isabel; Ratte, Hans Toni (2010). "Diurnal and nocturnal functional response of juvenile Notonecta maculata considered as a consequence of shifting predation behaviour". Behavioural Processes. 85 (2): 151–156. doi:10.1016/j.beproc.2010.07.006. PMID 20637269.
- Briers, Robert A.; Warren, Philip H. (1999). "Competition between the nymphs of two regionally occurring species of Notonecta (Hemiptera: Notonectidae)". Freshwater Biology. 42 (1): 11–20. doi:10.1046/j.1365-2427.1999.00448.x.
- Foltz, Sarah J.; Dodson, Stanley I. (2009). "Aquatic hemiptera community structure in stormwater retention ponds: a watershed land cover approach" (PDF). Hydrobiologia. 621 (1): 49–62. doi:10.1007/s10750-008-9631-6. Archived from the original on January 26, 2014.
- McCauley, Shannon J.; Rowe, Locke (2010). "Notonecta exhibit threat-sensitive, predator induced dispersal". Biology Letters. 6 (4): 449–452. doi:10.1098/rsbl.2009.1082. PMC 2936218. PMID 20164083.
- Bennet, Donald V.; Streams, Frederick A. (1986). "Effects of vegetation on Notonecta (Hemiptera) distribution in ponds with and without fish". Oikos. 46 (1): 62–69. doi:10.2307/3565381. JSTOR 3565381.
- Briers, Robert A.; Warren, Philip H. (2000). "Population turnover and habitat dynamics in Notonecta (Hemiptera: Notonectidae) metapopulations". Oecologia. 123 (2): 216–222. Bibcode:2000Oecol.123..216B. doi:10.1007/s004420051008. PMID 28308726.
- Silberbush, Alon; Markman, Shai; Lewinsohn, Efraim; Bar, Einat; Cohen, Joel E.; Blaustein, Leon (2010). "Predator-released hydrocarbons repel oviposition by a mosquito" (PDF). Ecology Letters. 13 (9): 1129–1138. doi:10.1111/j.1461-0248.2010.01501.x. PMID 20618841. Archived from the original (PDF) on January 25, 2014. Retrieved January 25, 2014.

