DuPage Airport

DuPage Airport (IATA: DPA, ICAO: KDPA, FAA LID: DPA) is a general aviation airport located 29 miles (47 km) west of downtown Chicago in West Chicago, DuPage County, Illinois. It is owned and operated by the DuPage Airport Authority, which is an independent government body established by law by the State of Illinois. It also serves as a relief airport for O'Hare International Airport and Chicago Midway International Airport, both in nearby Chicago.

DuPage Airport
Summary
Airport typePublic
Owner/OperatorDuPage Airport Authority
LocationWest Chicago, Illinois
Elevation AMSL759 ft / 231.3 m
Coordinates41°54′25″N 88°14′54″W
Websitewww.dupageairport.com
Maps

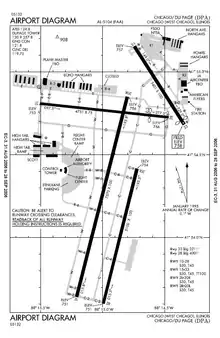
FAA airport diagram
DPA
Location of airport in Illinois
DPA
DPA (the United States)
Runways
Direction Length Surface
ft m
2L/20R 7,570 2,307 Concrete
2R/20L 6,443 1,964 Concrete
10/28 4,751 1,448 Asphalt
15/33 3,401 1,037 Asphalt
Statistics (2008)
Aircraft operations99,802
Based aircraft365
Source: FAA[1]

History

DuPage Airport is located on what used to be sheep-grazing land, but in 1927, two Chicago entrepreneurs purchased the land and began barnstorming, using the field as a grass strip. In 1941, the U.S. Navy requisitioned DuPage Airport, built brick hangars, paved two runways in an “X” pattern and began training pilots for the war effort. The airport was officially activated in March 1943.[1] Both the hangars and the original runway configuration still exist, though one runway is closed and is now taxiway C.

A year after the Navy began operations, Howard Aircraft Corporation opened a factory east of the airport across the road. The company built more than 500 trainer, transport and air ambulance aircraft for the military, and Howard employees were regularly seen pushing aircraft across the road to the little airport to test fly them.

In 1946, with the war over, the Navy sold the airport to DuPage County for $1. The post-war boom saw a lot of regional growth and the airport reflected it by adding an east–west runway and a five-story control tower and making plans for further expansion.

In the late 1970s, DuPage Airport was designated a reliever airport for general aviation aircraft, and in the early 1980s, the airport authority began an expansion project to accommodate the increased traffic.

However, planners learned a lesson from the plight of the beleaguered, land-locked Midway Airport. Surrounded by houses, restaurants and other small businesses, Midway found itself unable to expand and neighbors filed an endless succession of noise complaints. DuPage County would not make the same mistake.

The airport grew from 900 acres (360 ha) in 1985 to 2,800 acres (1,100 ha) by 1992, with the goal of maintaining control of all the property surrounding the runway complex. Much of the land was acquired to provide a large buffer zone around the airport.

Runways

DuPage Airport has four runways. The longest, and the reason for its status as a reliever airport, is runway 2L/20R, which is a Group IV-compliant concrete runway at 7,571 ft × 150 ft (2,308 m × 46 m). Its slightly smaller partner, 2R/20L, is another concrete runway with dimensions of 6,451 ft × 100 ft (1,966 m × 30 m). Two asphalt general aviation runways complete the arrangement: runway 10/28 at 4,750 ft × 75 ft (1,448 m × 23 m) and 15/33 at 3,399 ft × 100 ft (1,036 m × 30 m).[2]

Facilities and aircraft

The DuPage Airport Authority owns 2,800 acres (1,100 ha) and operates four separate business units. This multifaceted business portfolio includes the DuPage Airport, one of the busiest airports in Illinois, its associated fixed-base operator, a Robert Trent Jones, Jr. designed golf course, and the largest corporate research and development park in DuPage County.

DuPage Airport sits on 1,200 acres (490 ha) and is the only general aviation airport in Illinois with four active runways, two ILS approaches, a 24-hour FAA air traffic control tower, and over 40 aviation and non-aviation support businesses. DPA also has an on-site U.S. Customs Office. A total of 110 employees are associated with the airport.

For the 12-month period ending July 31, 2008, the airport had 99,802 aircraft operations, an average of 273 per day: 95% general aviation, 4% air taxi, <1% military, and <1% scheduled commercial. There are 365 aircraft based at this airport: 69% single-engine, 14% multi-engine, 16% jet, and 1% helicopter.[1]

DuPage Airport also serves as the headquarters for the Illinois Wing of the Civil Air Patrol.

Reception

The airport faced severe political criticism in the 1980s and 1990s. A 1995 Chicago magazine exposé called it "A Monument to Lavish Spending of Taxpayers' Money, a Haven of GOP Patronage, and the Target of a Federal Probe."

According to an article by John K. Wilson:

'Pate' Philip, the patron of DuPage airport, helped push forward a disastrously expensive enterprise which included land purchases making it four times the size of Midway Airport, a $10 million terminal, a $14 million golf course, and a charter airline run by the airport. The DuPage Airport budget grew from $1.6 million in 1984 to $46 million in 1993 at a time when airport use was declining. In 1992, DuPage Airport handled only 177,000 takeoffs and landings, while Aurora Municipal Airport took care of 134,000 takeoffs and landings at a cost of only $2 million.[3]

According to a May 2006 article in Aviation International News:

Before 2003, the airport had been on a trend of worsening annual operating losses. That trend was reversed in 2003 and the airport has continued to show improved operating results each quarter since. Last year the airport experienced a record-breaking year, with revenue up and expenditures down. The cornerstone of the airport’s financial turnaround is the mission statement developed by the airport’s Board of Commissioners in 2003. It establishes the framework for moving the airport toward operating as a self-sustaining facility while contributing to the economic impact of the county. The aggressive philosophy has resulted in two leases that will bring 60,000 sq ft (6,000 m2) of new hangar space to the airport. The airport is also developing another 48,000 sq ft (4,500 m2) of hangar space.[4]

In the late 1990s, 800 acres (3.2 km2) of land were set aside for a nonprofit technology park that had secured a $34 million grant from the state. After the DuPage National Technology Park's failure to attract significant business and a media investigation into its highly paid administrator, the board of the park voted for its dissolution in June 2010.[5] The park's management was transferred to the DuPage Airport Authority Board, whose chairman criticized the political decision-making that had led to its failure. The park was then reorganized as the DuPage Business Center.[6]

See also

References

  1. FAA Airport Form 5010 for DPA PDF, effective 31 July 2008
  2. "AirNav: KDPA - DuPage Airport". AirNav.com. AirNav, LLC. Retrieved 10 December 2018.
  3. "Archived copy". Archived from the original on 2002-05-27. Retrieved 2006-05-31.{{cite web}}: CS1 maint: archived copy as title (link)
  4. "Archived copy". Archived from the original on 2006-10-17. Retrieved 2006-08-29.{{cite web}}: CS1 maint: archived copy as title (link)
  5. Archived 2010-06-26 at the Wayback Machine Dave McKinney, "7 of 10 on board say end tech park: Sun-Times article 'absolutely' spurred call to dissolve" June 22, 2010 Chicago Sun-Times
  6. "DuPage National Technology Park Repositions Itself For Future Growth" January 2011 Northern Illinois Real Estate Magazine
This article is issued from Wikipedia. The text is licensed under Creative Commons - Attribution - Sharealike. Additional terms may apply for the media files.